Understanding Welsh seabed characteristics through multibeam bathymetry processing

Welsh Government

Hydrographic-Geophysical Survey

To support the allocation of marine resources, Welsh Government sought to better understand seabed characteristics in Welsh waters.

In line with ongoing data gathering on habitats around the Welsh coast, the government collected hydrographic multibeam bathymetry (seabed depth) and backscatter (seabed intensity) data as part of two large offshore survey campaigns.

To help Welsh Government and other stakeholders better understand seabed characteristics in resource areas, ABPmer was commissioned to review and process the data.

The data processing was carried out by our specialist surveyors using industry-leading software, ensuring high-quality, accurate data was delivered to the client in a short timeframe.

Our surveyors corrected the data to account for sensor offsets and misalignment, positioning and attitude measurements and sound velocity of the water column using BeamworX processing software suite.

Navigation and attitude (motion) data was post-processed in Applanix POSPac MMS software using the Applanix Singlebase processing methodology. This data was then applied to the source data as a smoothed best estimate of trajectory to provide <5 cm 3D position accuracy.

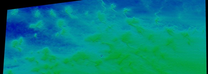
pre-and-post-processed-bathymetry-800.jpg

An example of the pre-processed (left) and post-processed bathymetry. The processed data provided Welsh Government with a clearer understanding of seabed characteristics in Welsh waters

The corrected data was then reviewed and cleaned to remove erroneous soundings and noise, and a 0.5 m gridded mean bathymetry surface was produced. All processed soundings error budgets conformed to the International Hydrographic Association’s Order 1a survey requirements.

Data deliverables were produced relative to the WGS84 UTM30N coordinate reference system and Ordnance Datum Newlyn (ODN).

Time-series backscatter data logged during acquisition (termed ‘snippets’) was imported into FMGT (Fledermaus Geocoder Toolbox) software to produce a backscatter mosaic of seabed intensity allowing for provision of vital information on seabed sediment types and potential benthic habitats.

Alongside the processed data, ABPmer also utilised our extensive inhouse experience and industry best practices to offer technical insight and recommendations to enhance the client’s data acquisition setup further, helping to improve the accuracy and precision of future hydrographic survey campaigns. 


ABPmer's surveyors support marine developments with a comprehensive understanding of the seabed, delivering quality maps and analysis of depth and features. Learn more about our hydrographic-geophysical survey capability.

multibeam-processed-bathymetry-720x257.jpg

Paul Clement

Hydrography and Geophysics
+44 (0)23 8071 1886

Ready to talk to a surveyor?

GET IN TOUCH

Our experience

Hydrographic-Geophysical Survey
Hydrographic-Geophysical Survey

Area 392/93 geophysical survey

Hydrographic-Geophysical Survey
Hydrographic-Geophysical Survey

Solent gateway shiplift

Logo

Marine and Coastal Survey - part of ABPmer

Contact us

ABPmer
Quayside Suite
Medina Chambers
Town Quay
Southampton
SO14 2AQ

E-zine sign-up